Listed by Claudia Harris of Mary Mitchell Miller Real Estate (802-824-3176)

Listing Sold by Skihome Realty
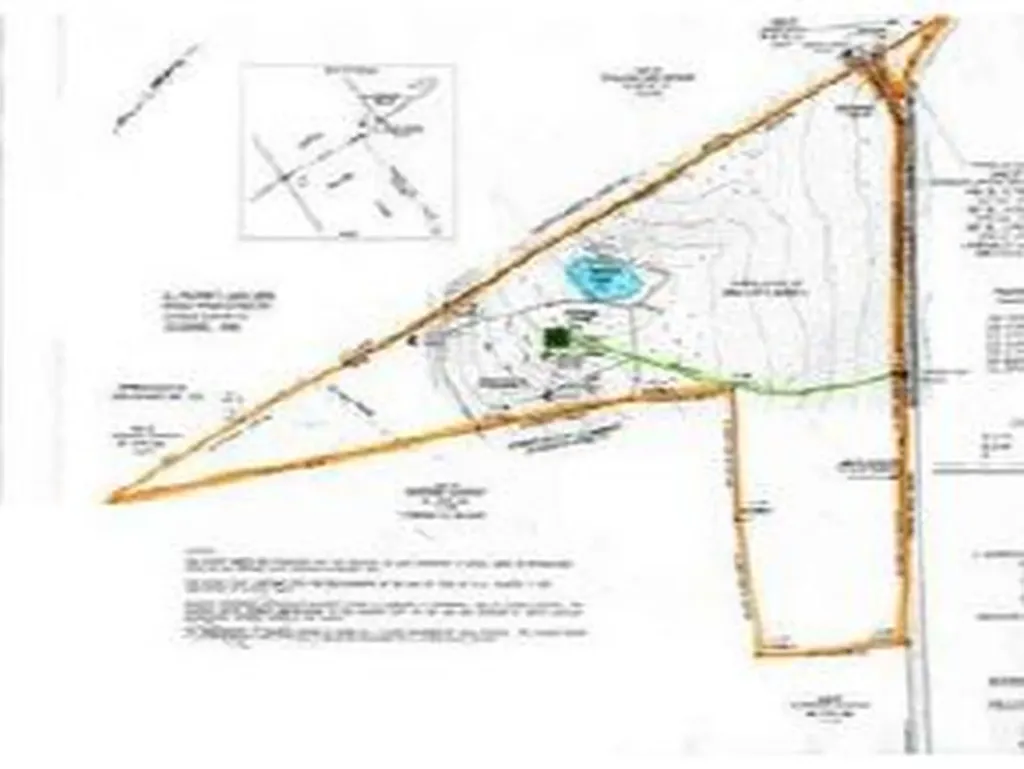
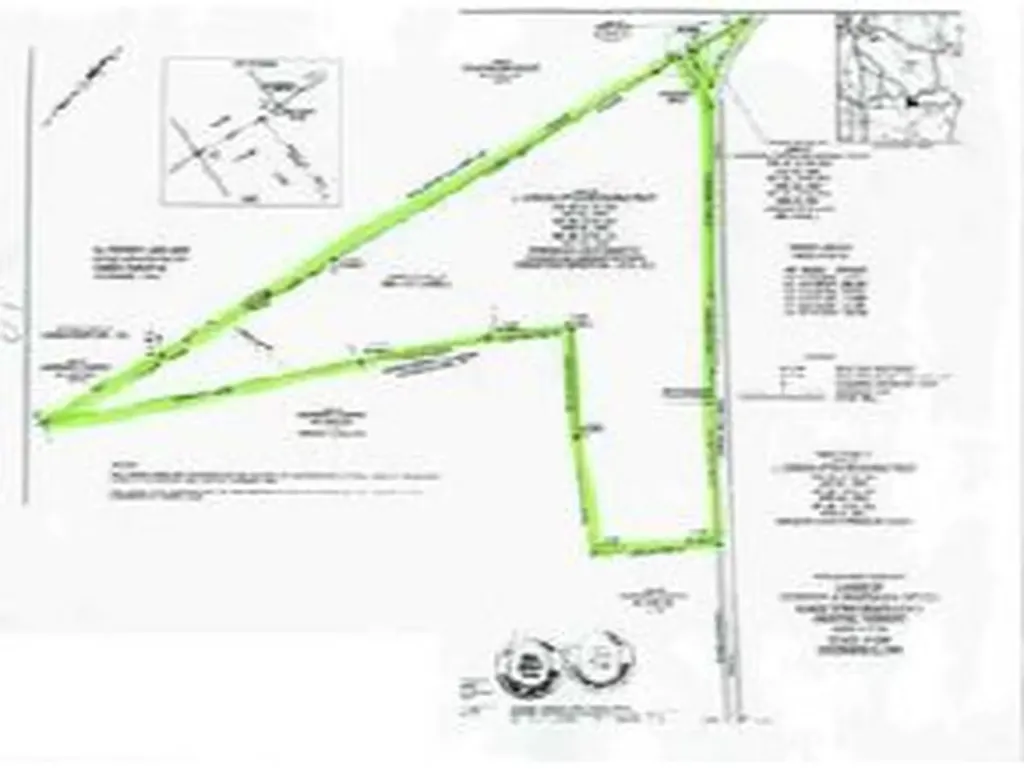
This is a one-of-a-kind legacy property, off the beaten path and accessible to everything that makes Southern Vermont an incredible place to call home. The 57.2 acres offer the perfect mix with hardwoods (maples and more), pine groves, open meadows, a pond spanning apprx 1/4-acre, and spectacular southern views and all-day sunlight. Come build your Vermont dream house and be assured of total seclusion and complete quiet (other than the birds composing Mother Nature's own music). A long, private driveway is already in place and subtly drops you from Marsh Hill Road through the upper wooded section to a beautiful, cleared building site. Electricity is installed and buried the length of the driveway to the building site and approximately 5 acres are cleared and just waiting to be built on. A VT wastewater permit for a total of 6 bedrooms will permit you to build to suit your needs: one spacious home, or perhaps a main house (4-5 BR) and guest house (1-2BR). Spend your summers lazing in the pond, hiking around your hillside, attending Broadway-caliber live theater and music at the nearby Weston Theater Company, picking out the freshest ingredients for your meals at the Londonderry Farmer's Market, and exploring the Green Mountains. In the winter, you can hunker down and enjoy your Vermont home and, for the more active among you, there are four major ski resorts within a 10-35 minutes-drive, Nordic skiing nearby and lots of cozy restaurants to try. Come take a look!

Listing Tools (detailViewNewGen)

Property Details of 1809 Marsh Hill Road

Property Details

Exterior Features

Utilities and Appliances

Community

Other Details

Map Location

Broker Reciprocity 

Copyright 2025 PrimeMLS, Inc. All rights reserved. This information is deemed reliable, but not guaranteed. The data relating to real estate displayed on this display comes in part from the IDX Program of PrimeMLS. The information being provided is for consumers’ personal, non-commercial use and may not be used for any purpose other than to identify prospective properties consumers may be interested in purchasing. Data last updated December 14, 2025 5:22 PM EST

 

Hi there! How can we help you?

Contact us using the form below or give us a call.

Send Us A Message:

I agree to receive marketing and customer service calls and text messages from Josiah Allen Real Estate. To opt out, you can reply 'stop' at any time or click the unsubscribe link in the emails. Consent is not a condition of purchase. Msg/data rates may apply. Msg frequency varies. Privacy Policy.

Do not fill in this field:

This site is protected by reCAPTCHA and the Google Privacy Policy and Terms of Service apply.